土地
プライスダウン
紫原7丁目 売土地
1,400万円
■広木小学校まで歩8分■ープかごしま田上店まで歩3分■マイホーム用地■建築条件なし
1,400万円
| 住所 | 鹿児島市紫原7丁目21-6 |
|---|---|
| 交通 |
[バス]「紫原7丁目」歩3分 |
| 学校区 |
広木小学校《徒歩8分(約610m)》広木小学校区の不動産→ 紫原中学校《徒歩10分(約730m)》紫原中学校区の不動産→ |
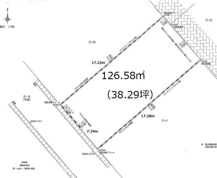
| 土地面積126.58㎡/ |
1/6
2025年10月10日撮影 2/6
2025年10月10日撮影 3/6
4/6
5/6
6/6
■広木小学校まで歩8分■ープかごしま田上店まで歩3分■マイホーム用地■建築条件なし
1,400万円
| 住所 | 鹿児島市紫原7丁目21-6 |
|---|---|
| 交通 |
[バス]「紫原7丁目」歩3分 |
| 学校区 |
広木小学校《徒歩8分(約610m)》広木小学校区の不動産→ 紫原中学校《徒歩10分(約730m)》紫原中学校区の不動産→ |
| 土地面積:126.58㎡/ |
※地図上に表示される物件の位置は付近住所に所在することを表すものであり、実際の物件所在地とは異なる場合がございます。
SIMULATION
ローンシミュレーション
この物件を購入した場合の、月々の支払い価格の一例を計算できます。
シミュレーション結果
毎月の返済額
-円
ボーナス月の返済額
-円
POINT
スタッフおすすめポイント
●注目ポイント! ・広木小学校まで歩8分 ・マイホーム用地 ・更地 ・建築条件なし ・南西向き ●主な周辺環境 ・広木小学校まで徒歩8分(約590m) ・紫原中学校まで徒歩9分(約700m) ・紫原北公園まで徒歩3分(約190m) ・コープかごしま田上店まで徒歩3分(約180m) ・セブンイレブン紫原7丁目店まで徒歩3分(約220m) ・広木簡易郵便局まで徒歩3分(約230m)
OUTLINE
物件概要
| 住所 | 鹿児島市紫原7丁目21-6 紫原・宇宿エリアの不動産→ |
|---|---|
| 交通 |
[バス]「紫原7丁目」歩3分 |
| 学校区 |
広木小学校《徒歩8分(約610m)》広木小学校区の不動産→ 紫原中学校《徒歩10分(約730m)》紫原中学校区の不動産→ |
| 価格 | 1,400万円 |
| 開発面積 | - |
| 土地面積 | 126.58㎡ |
| 接道 | 南西側5m公道に7.34m接道 |
| セットバック | - |
| 私道負担 | 無 |
| 用途地域 | 2種中高 |
| 都市計画 | 市街化区域 |
| 建ぺい率 | 60% |
| 容積率 | 200% |
| 地目 | 宅地 |
| 土地権利 | 所有権 |
| 建築条件 | 建築条件なし |
| 現況 | 更地 |
| 引渡 | 即 |
| 設備 | 電気、上水道、下水道、側溝 |
| 特記事項 | 閑静な住宅街、高台に立地 |
| 取引態様 | 仲介 |
| 取引の有効期限 | 2026年3月1日 |
※ 掲載物件は成約済み・売却中止となる場合があります。
※ 成約の際は仲介手数料とこれにかかる消費税が必要です。(当社が売主の物件除く)
※未完成物件の場合、外観写真や内観写真は同仕様タイプであり、実際とは異なります。
FACILITY
周辺施設
広木小学校
【鹿児島市立広木小学校】は、広木1丁目に位置する1965年創立の小学校です。令和4年度の生徒数は674人で、30クラスあります。校訓は「つよく かしこく 心豊かな子」です。
徒歩8分(約590m)
紫原中学校
【鹿児島市立紫原中学校】は、紫原6丁目に位置する1967年創立の中学校です。令和4年度の生徒数は735人で、28クラスあります。校訓は「自主・愛知・健康・協和」です。
徒歩9分(約700m)
紫原北公園
【紫原北公園】
鹿児島市紫原7丁目にある公園です
広場、遊具、トイレあり
徒歩3分(約190m)
コープかごしま田上店
【コープかごしま田上店】
鹿児島市広木1丁目にあるスーパーです。
営業時間 : 9:30-21:30
駐車場 : 88台 (内2台は優先駐車場)
100円ショップ ザ・ダイソー
徒歩3分(約180m)
セブンイレブン紫原7丁目店
【セブンイレブン紫原7丁目店】
鹿児島市紫原7丁目にあるコンビニです。
サービス・設備 ATM、マルチコピー機、お会計セルフレジ、セブンミール、たばこ、お酒、揚げ物惣菜 、セブンカフェ
徒歩3分(約220m)
広木簡易郵便局
【広木簡易郵便局】
鹿児島市田上台2丁目にある郵便局です
駐車場2台あり
徒歩3分(約230m)
RECOMMEND
この物件を見ている人が
この物件を見ている人が
よく見ている物件
良い物件
ばかり!
要チェック!
ばかり!
要チェック!




